ABD felaketle karşı karşıya! Karaya ulaştı
ABD'nin Florida eyaletinde ve Meksika Körfezi'nde etkili olacağı açıklanan Irma kasırgasının, Karayipler'in kuzeyindeki adaları vurmaya başladığı açıklandı.
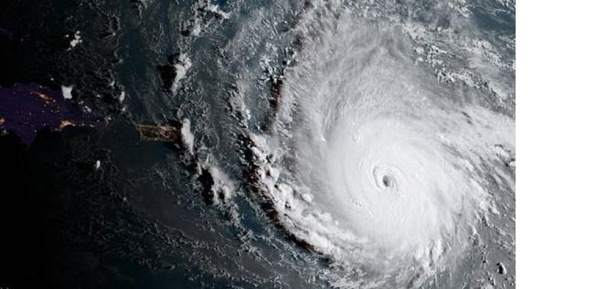
Ulusal Hava Dairesi, 5. kategoride yer alan ve rüzgar hızı saatte 295 kilometreyi bulan Irma kasırgasının, Karayipler'in kuzeyinde etkili olmaya başladığını açıkladı.
Porto Riko, Dominik Cumhuriyeti, Haiti ve Küba'ya ilerleyen bir rotaya sahip kasırganın gözünün Barbuda Adası'nın üzerinden geçtiği sırada telefon hatlarının kesildiği belirtildi.

KSAIRGAYA HAZIRLIKLAR BAŞLAMIŞTI
ABD'nin en kalabalık eyaletlerinden Florida'da ve Meksika Körfezi kıyılarında yaşayanlar, Texas'taki Harvey kasırgasının yaralarını henüz saramadan, hafta sonu gelmesi beklenen yeni kasırga Irma nedeniyle hazırlıklara başlanmıştı.
ABD Ulusal Kasırga Merkezi, ABD'deki güzergahı tam belli olmayan ancak hafta sonu Atlantik Okyanusu üzerinden gelmesi beklenen, saatteki hızı 175 kilometreye ulaşacak kasırga "Irma"nın, Florida dahil Meksika Körfezi kıyılarını vuracağını bildirdi.

Merkezin, yeni kasırgaya hazırlanılması çağrısında bulunmasının ardından Florida'da halk alışveriş merkezleri önünde uzun kuyruklar oluşturdu.
Florida Valisi Rick Scott, eyalet genelinde acil durum ilan ederken, ABD Başkanı Donald Trump'ın Floridalılara Irma kasırgasına karşı hazırlanmaları için federal yönetimin (devlet) tüm kaynaklarını sunduğunu duyurdu.
Meteorolog Dave Samuhel, kasırganın etkili olacağı bölgede yaşayan halka "acil yardım malzemelerinizi hazırlayın" uyarısında bulundu.
Türkçe karakter kullanılmayan ve büyük harflerle yazılmış yorumlar onaylanmamaktadır.